29 октября 2025 в 09:42

Власти Кемерова утвердили ещё один участок для зоны КРТ в Ленинском районе

В Кемерове утвердили ещё один микрорайон для застройки в Ленинском районе

Власти Кемерова утвердили ещё один участок для зоны КРТ в Ленинском районе

Власти Кемерова утвердили ещё один участок для зоны КРТ в Ленинском районе

В Кемерове утвердили ещё один микрорайон для застройки в Ленинском районе

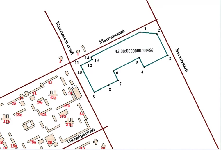
Власти Кемерова определились с ещё одним участком зоны комплексного развития территории (КРТ) в Ленинском районе города. Постановление об освоении микрорайона 61/1 опубликовано на сайте мэрии.

Новый микрорайон будет застраиваться в границах: пр. Комсомольский — пр. Московский — пр. Восточный — граница микрорайона 61/2. Отмечается, что на данном участке отсутствуют объекты капитального строительства, в том числе многоквартирные дома, а также объекты культурного наследия, подлежащие сохранению.

«Установить предельный срок реализации решения о комплексном развитии незастроенной территории — 10 лет со дня заключения договора о комплексном развитии незастроенной территории», — говорится в документе.

Работать на данном участке зоны КРТ, как и на других аналогичных участках, будут застройщики, которые получат это право по результатам торгов.

Фото: A42.RU

Подпишитесь на оперативные новости в удобном формате:

В Кемерове открылась регистрация на благотворительный забег «Цепная реакция»
Яндекс.Метрика